澳大利亚发现最大恐龙脚印化石 1.4亿年岩石中发掘出多达21种前所未见的恐龙遗迹
澳大利亚发现最大恐龙脚印化石,1.4亿年岩石中发掘出多达21种前所未见的恐龙遗迹
(中国化石网报道)据中国日报网(妮思娜):想象一下,1.3亿年以前,在澳大利亚的西海岸,一群恐龙经常在这里活动,在地平线的远处,和日出日落为伴。
据美国新闻聚合网站buzzfeed报道,在澳大利亚西北部的丹皮尔半岛,蜥脚类恐龙、鸟脚亚目恐龙、甲龙曾经一同在这个河流冲刷出的平原上共生。经过岁月变迁,河流改道,大部分恐龙存在的证据都已经消失不见了,但他们的脚印却深深地在这片土地上留下了烙印。
恐龙研究小组的领队索尔兹伯里和其团队在这里陆陆续续发现了各种不同种类的恐龙脚印,也第一次证实了剑龙在澳大利亚存在过的痕迹,而且还发现了迄今为止最大的恐龙脚印。
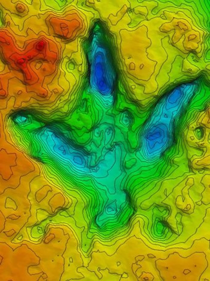
这个最大的脚印长1.75米,应该属于一个至少臀高达5.5米的蜥脚类恐龙。索尔兹伯里说当时她们并没意识到那是恐龙脚印,因为它已经大到超出可能的范围了,直到他们找到了一个形状几乎一致,只是小很多的脚印时,才敢确定这也是恐龙脚印。
2008年,澳洲政府本来打算在这里挖掘天然气,当地的土著人意识到这片土地可能要遭到破坏,于是主动联系了索尔兹伯里,他们继承祖先的遗愿,要将这片土地保护好。
2011年这个区域因为发现了各种各样的恐龙遗迹而被保护起来,为恐龙研究以及澳洲地理研究等等提供了无法言喻的价值。
相关报道:恐龙或源于北半球
(中国化石网报道)据北京日报(张家伟):恐龙的起源和分类已有了较成熟且主流的学术观点,但英国一个研究团队在最新一期英国《自然》杂志发表的假说不仅重新对恐龙进行分类,还提出恐龙可能起源于北半球而不是传统认为的南半球的观点。
多年来,科学界认为恐龙在演化过程中有两大分支,即骨盆与鸟类相似的鸟臀目恐龙和骨盆与爬行动物相似的蜥臀目恐龙。前者包括禽龙、三角龙和剑龙等,后者包括电影中经常看到的霸王龙以及梁龙等巨大的恐龙。
来自剑桥大学及伦敦自然历史博物馆的研究人员,对恐龙演化关系史进行了重新梳理,分析了大量早期恐龙在解剖学上的相似性和差异,提出的新假说对恐龙分类进行了调整。他们把霸王龙与禽龙、三角龙等分在一起,而把梁龙等分为新的一支。
在整理资料过程中,研究人员还提出另一个观点,即恐龙的起源应该是北半球的劳亚古陆。这同样挑战了传统观点,因为至今发现的最古老恐龙化石来自南美洲,传统上认为恐龙源自南半球的冈瓦纳古陆。不过研究人员也表示,远古的各个大陆在地理上都非常靠近。
相关报道:澳大利亚发现最大恐龙脚印化石 长1.7米
(中国化石网报道)据国际在线:秘鲁《商业报》3月27日报道,日前,澳大利亚昆士兰大学的古生物学家在布里斯班市的“侏罗纪公园”内发现1.7米长的恐龙脚印,这是迄今为止被发现的最大的恐龙脚印,打破了之前在玻利维亚发现的1.15米长的记录。
据昆士兰大学的古生物学家团队称,此次考古发现历时5年。找到1.7米长的恐龙脚印是这次研究的重要收获,他们认为这个脚印应该属于一种素食的长颈恐龙。
此外,古生物学家研究发现在澳大利亚这一地区同一时间内,曾存在过21种不同的恐龙。生物学家史蒂夫·梳士巴利称:“这次发现的恐龙多样性,是史无前例的。”
相关报道:澳大利亚发现迄今为止世界上最大的恐龙足迹
(中国化石网报道)据环球网(实习编译:李嘉雯):英国《每日邮报》3月27日报道,日前,澳大利亚西北部发现了迄今为止世界上最大的恐龙足迹——长达1.75米。此外,澳考古学家还在该地区约1.4亿年的岩石中发掘出多达21种前所未见的恐龙遗迹。
据悉,这片位于西澳大利亚金伯利地区的遗迹被称为澳大利亚的“侏罗纪公园”,而这枚将近一人高的脚印则一举打破2016年在玻利维亚发现的1.15米恐龙足迹的世界纪录。据考古学家推断,此足迹为巨型长颈草食性蜥脚类恐龙在大约1.4亿年前漫步澳大利亚时留下的。专家称,此次发现的恐龙种类种类之多堪称近年来世界之最,更可证实剑龙曾在澳大利亚生活。
昆士兰大学古生物学家史蒂夫·索尔斯伯里博士(Steve Salisbury)谈到,“此项发现意义重大。这不仅是澳大利亚西半部非禽类恐龙的最原始纪录。同时也可让人类一窥白垩纪上半期澳恐龙群的活动踪迹”。此前,澳大利亚恐龙化石大多发现于东部。
据了解,这些珍贵的遗迹在2008年险些消失。当时该地区正是一座大型液化天然气厂的选址区,之后当地土著居民联系索尔斯伯里博士团队深入该地区长期调研。该区域于2011年被列为国家遗产保护区,恐龙遗迹得以保留。



















